智能制造及工业自动化配套设备生产项目规划设计方案调整批前公示
依据《中华人民共和国城乡规划法》和《关于城乡规划公开公示的规定》等相关规定,现将本方案进行批前公示,征询公众意见。如有意见者,请以纸质或者电子邮件形式与我局相关单位联系。(该方案为批前公示图,以最终审批图为准)
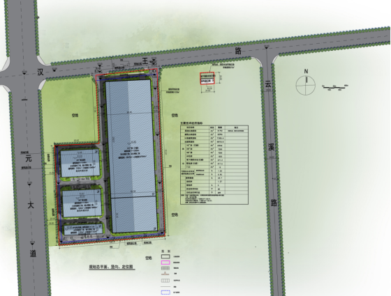
一、项目概况:
该项目位于金安经济开发区龙池路以北地块。总用地面积为51792㎡;总建筑面积为45910.8㎡;容积率为1.37;建筑密度为63.7%;绿地率为5%。

二、公示地点:
六安金安经济开发区管委会网站:
http://jzsfyq.luan.gov.cn/
三、公示时间:2026年4月20日—2026年4月29日
四、联系方式:
1、联系单位:六安市金开区自然资源规划局
2、电子邮箱:1446320391@qq.com
3、邮寄地址:六安市东四十铺大学科技园A2楼(623室)。(纸质信件以邮戳时间为截止日期)。
4、邮编:237000
5、电话:0564-3936208
五、总平面图

标签:
智能问答
皖公网安备 34150102000135号